Insectes à élytres, les scarabées, coccinelles, charançons, carabes, etc. forment l'ordre le plus diversifié au monde.
Animateur : Lysbeth d'Alys
pat64
Admin-galerie
Enregistré le : vendredi 20 juillet 2007, 14:09
Localisation : Pyrénées-Atlantiques
[Stenohelops (Stenomaleis) pyrenaeus] Tenebrionidae
Message
par pat64 » lundi 1 décembre 2025, 12:49
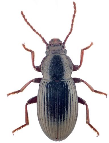
Patrick Deyroze : France : Mosset : 66500 : 07/06/2025
Altitude : NR - Taille : 9,9 mm
Réf. : 366891
Patrick Deyroze : France : Mosset : 66500 : 07/06/2025
Altitude : NR - Taille : 9,9 mm
Réf. : 366928
Soucis avec le genre
Nassalus Stenomax et consorts
Modifié en dernier par pat64 le mardi 2 décembre 2025, 14:53, modifié 1 fois.
Pat
François Clément
Membre confirmé
Enregistré le : mardi 9 août 2022, 12:35
Localisation : Comminges
Tenebrionidae
Message
par François Clément » lundi 1 décembre 2025, 13:23
Tu veux dire Nalassus ? Il faudrait aussi une vue du dessous.
FC
pat64
Admin-galerie
Enregistré le : vendredi 20 juillet 2007, 14:09
Localisation : Pyrénées-Atlantiques
Tenebrionidae
Message
par pat64 » lundi 1 décembre 2025, 14:30
pat64 a écrit : lundi 1 décembre 2025, 12:49
Patrick Deyroze : France : Mosset : 66500 : 07/06/2025
Altitude : NR - Taille : 9,9 mm
Réf. : 366891
Soucis avec le genre
Nalassus Stenomax et consorts
Correction effectuée merci
Pat
pat64
Admin-galerie
Enregistré le : vendredi 20 juillet 2007, 14:09
Localisation : Pyrénées-Atlantiques
Tenebrionidae
Message
par pat64 » mardi 2 décembre 2025, 14:54
vue de dessous effectuée
Pat
llischer
Membre confirmé
Enregistré le : lundi 8 février 2021, 15:20
Localisation : Suisse, Lucerne
Tenebrionidae
Message
par llischer » mardi 2 décembre 2025, 18:09
Bonjour
C'est un melange entre un
Stenomax et un
Helops .
Salutations
Lukas
François Clément
Membre confirmé
Enregistré le : mardi 9 août 2022, 12:35
Localisation : Comminges
Tenebrionidae
Message
par François Clément » mardi 2 décembre 2025, 19:43
Taille +
épipleures protothoraciques ridulés + abdomen
glabre : je dirais
Nalassus . Après... La clé des Helopini par Ardoin,
Annales de la SEF , vol. 127, 1958, p. 9-49 (voir ici :
https://gallica.bnf.fr/ark:/12148/bpt6k ... 3/f17.item ) devrait t'aider.
FC
llischer
Membre confirmé
Enregistré le : lundi 8 février 2021, 15:20
Localisation : Suisse, Lucerne
Tenebrionidae
Message
par llischer » mardi 2 décembre 2025, 22:48
Bonsoir
Il y avait deja la reponse:
Stenomax +
Helops =
Stenohelops .
Salutations
Lukas
Zétrik
Admin-galerie
Enregistré le : jeudi 30 juin 2005, 10:28
Localisation : Hérault
Tenebrionidae
Message
par Zétrik » mercredi 3 décembre 2025, 8:24
Je rejoins l'avis de Lukas.
Stenohelops pyrenaeus se prend facilement dans les PO.
En plus Patrick, c'est une bête que tu as déjà photographié
Patrick Deyroze : France : L'Albère : 66480 : 12/03/2017
Altitude : NR - Taille : 7,5 mm
Réf. : 180872
Zzz...
Lysbeth d'Alys
Animatrice - Admin-galerie
Enregistré le : mercredi 14 septembre 2005, 14:15
Localisation : Val d'Oise
Tenebrionidae
Message
par Lysbeth d'Alys » mercredi 3 décembre 2025, 8:50
Stenohelops (Stenomaleis) pyrenaeus (Mulsant, 1854)
Lysbeth d'Alys
pat64
Admin-galerie
Enregistré le : vendredi 20 juillet 2007, 14:09
Localisation : Pyrénées-Atlantiques
Tenebrionidae
Message
par pat64 » mercredi 3 décembre 2025, 11:34
Zétrik a écrit : mercredi 3 décembre 2025, 8:24
Je rejoins l'avis de Lukas.
Stenohelops pyrenaeus se prend facilement dans les PO.
En plus Patrick, c'est une bête que tu as déjà photographié
Patrick Deyroze : France : L'Albère : 66480 : 12/03/2017
Altitude : NR - Taille : 7,5 mm
Réf. : 180872
Merci à vous
Je m’arrange pas avec l’âge, j’ai cherché partout et j’avais la solution dans ma
base de données photos
Donc j’ai le couple
Pat