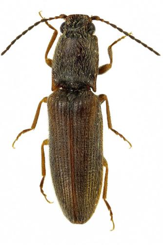
Cantharidae trouvé en zone humide au mois de juillet

Simon Barbier : France : La Chaussée-Tirancourt : 80310 : 3/7/2014
Altitude : 16 m - Taille : < 10 mm
Réf. : 129558
Je n'ai pas pensé à le mesurer sur le coup, mais je me souviens qu'il était plus petit que les Cantharidae que je vois d'habitude.
Avec ces pattes et son
Par contre, j'ai un peu de doutes avec Cantharis nigra/nigricans...
Le
Merci du coup de main