J'ai rencontré plusieurs spécimens un peu paumés dans le sable humide de la plage.
J'en ai rapporté un pour connaître son nom car je n'avais pas le souvenir de l'avoir déjà rencontré.
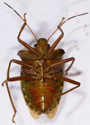
Et je pense avoir bien fait car c'est la première fois que je rencontre, sauf erreur, Pentatoma rufipes.
Brun foncé, angles du
Confirmez-vous ?
Merci.
Photo 1. Clic pour agrandir.

Jérémie Lemarié : France : La Tranche-sur-Mer : 85360 : 29/09/2025
Altitude : 0 m - Taille : 15.5 mm mesuré
Réf. : 364981
Photo 2. Clic pour agrandir.

Jérémie Lemarié : France : La Tranche-sur-Mer : 85360 : 29/09/2025
Altitude : 0 m - Taille : 15.5 mm mesuré
Réf. : 364982