
Catherine Reymonet-Smitten : France : Peyrelevade : 19290 : 04/09/2025
Altitude : 795 m - Taille : --
Réf. : 366733

Catherine Reymonet-Smitten : France : Peyrelevade : 19290 : 04/09/2025
Altitude : 795 m - Taille : --
Réf. : 366734

Catherine Reymonet-Smitten : France : Peyrelevade : 19290 : 04/09/2025
Altitude : 795 m - Taille : --
Réf. : 366735
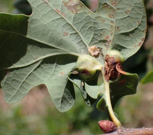
J'avais envisagé Andricus curvator, génération sexuée, mais la date ne colle pas du tout. Alors je ne sais pas.