Repéré se promenant sur un prospectus

Les poux, les poux des livres, les "bêtes d'orage"
Ce sont tous des hémiptéroïdes

Animateur : kristobal21

Sujet précédentSujet suivant
Avatar du membre
BlancheBarbe
Membre
Enregistré le : mercredi 22 juillet 2020, 9:14
Localisation : Hauts de France

Repéré se promenant sur un prospectus

Message par BlancheBarbe »

Bonjour tertous,

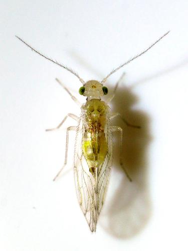
J'ai tout de même une hésitation concernant cet individu:

Image
jean-claude josien : France : Lens : 62300 : 24/11/2025
Altitude : 36 m - Taille : 1,5 mm
Réf. : 366777

Aux ailes en forme de toit bien pointu, mais surtout ne présentant aucun assombrissement des nervures inférieures :

Image
jean-claude josien : France : Lens : 62300 : 24/11/2025
Altitude : 36 m - Taille : 1,5 mm
Réf. : 366778

Serait plutôt un Trichopsocus...?
Aucun animal n'a été blessé à l'occasion de la séance de prises de vues.
Sujet précédentSujet suivant

Retourner vers « Poux, psoques et thrips »